唐山要在高新区新建5条道路
唐山信息港 发表于:2022-9-10 19:23 复制链接 看图 发表新帖
阅读数:7588

近日,中国唐山网站发布2则规划公示、中国河北网站发布3则招标公告,要在高新区新建5条道路,详情如下:

庆丰道建设项目规划公示

50122992_279e617b-cd3b-45e2-ae66-f15c24dc2932copy.png

50122992_880c4941-b5a6-466d-bb40-2c59cab02fbecopy.png

50122992_c58d4dd7-2d05-467e-b196-8d45734b5788copy.png

高新区镇区北三路(二环路—镇区北一街)新建工程(一期)建设项目规划公示

50122992_e8bebacf-008d-4a32-b577-d9be1a37f799copy.png

50122992_d66bf752-a250-49e0-a6c5-0913c129f3c8copy.png

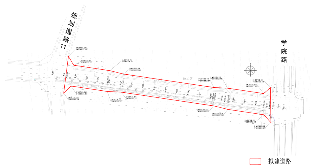
高新区创新北道(学院路—卫国路)新建工程(EPC)总承包

项目名称:

高新区创新北道(学院路—卫国路)新建工程(EPC)总承包

建设地点:

唐山市高新区本部,西起学院路,东至卫国路

建设内容及规模:

本工程为高新区创新北道(学院路-卫国路)新建工程,起点为学院路,终点为卫国路。规划道路长度475.06米,本次实施长度为467.8米,道路红线宽30m。创新北道为东西方向次干路,一块板断面型式,双向四车道。本项目主要建设内容:道路工程、给排水工程、照明工程、电力工程。

计划工期:

12个月

高新区创新大道(学院路-卫国路)新建工程(EPC)总承包招标公告

项目名称:

高新区创新大道(学院路-卫国路)新建工程(EPC)总承包

建设地点:

创新大道位于唐山市高新区本部,起点为学院路,终点为卫国路

建设规模及主要建设内容:

本工程为高新区创新大道(学院路-卫国路)新建工程,起点为学院路,终点为卫国路。规划道路长度475.06米,本次实施长度为482.807米,道路红线宽20m,用地面积9630.32平方米。创新大道为城市支路,一块板断面型式,双向两车道,机非混行,设计速度为 30km/h。断面型式:3.0m(人行道)+14m(车行道)+3.0m(人行道)=20m。本项目主要建设内容:道路工程、给排水工程、照明工程、电力工程。

计划工期:

365日历天

高新区规划道路7(庆丰道-北安道)新建工程(EPC)总承包招标公告

项目名称:

高新区规划道路7(庆丰道-北安道)新建工程(EPC)总承包

建设地点:

北起北安道,南至庆丰道

建设内容及规模:

高新区规划道路7(庆丰道-北安道)新建工程北起北安道,南至庆丰道。道路规划长度782.17米,因与现状道路衔接,本次实施长度 824.18米,道路标准红线宽20米。为南北方向支路,一块板道路断面型式,双向两车道,机非混行。主要建设内容包括道路工程、给排水工程、照明工程、电力工程。

计划工期:

12个月


来源:中国河北、中国唐山
返回列表 使用道具 举报
条评论
您需要登录后才可以回帖 登录 | 立即注册
相关推荐
©2001-2021 唐山信息港 http://www.tsxxg.com冀ICP备2026004523号
首页联系我们客服微信:14369595Comsenz Inc.