唐门一品A02地块将建小学项目
唐山信息港 发表于:2022-11-8 20:57 复制链接 看图 发表新帖
阅读数:4153
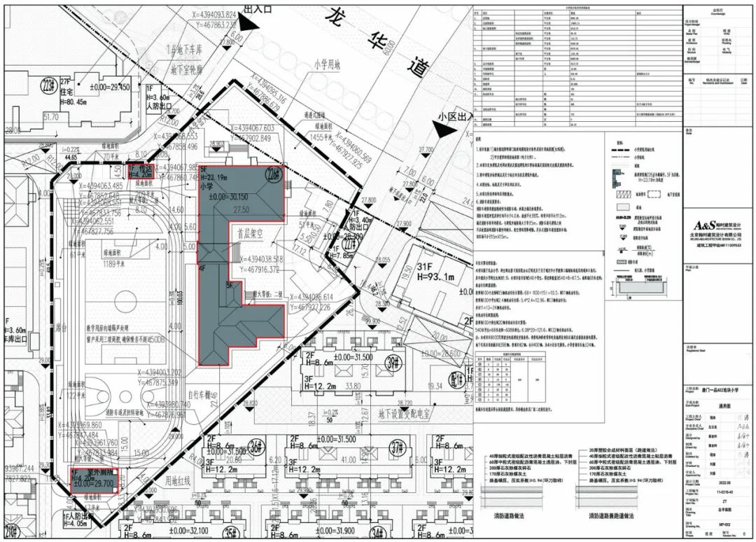
建设项目规划公示(唐门一品A02地块小学项目)
c828de1d2a55fcfad83415c27b51f71e.jpg
abe432e2ff243274edb0549152f94603.jpg
来源:中国唐山
返回列表 使用道具 举报
条评论
您需要登录后才可以回帖 登录 | 立即注册
相关推荐
©2001-2021 唐山信息港 http://www.tsxxg.com冀ICP备2026004523号
首页联系我们客服微信:14369595Comsenz Inc.